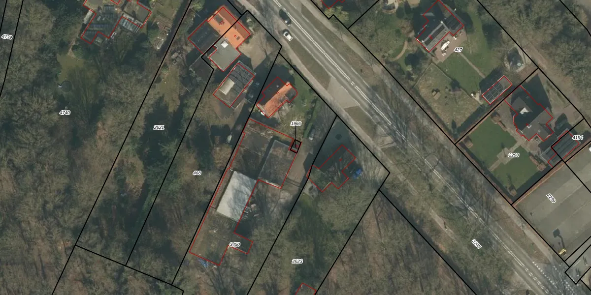
Perceel: OTS00-D-1966
10 m2 - 12 m
Eigenaar opvragen
OTS00-D-1966 (Ottersum)
- Geen postcode aanwezig
LyP8QpLLFZtz1nWWmwZrN3zUUpgrade naar KadastraleKaart Pro
Bekijk op Street View
Download DWG/DXF/Excel
LFFpM6XKhZqToZaN3 VttTUpgrade naar KadastraleKaart Pro
HHKDZu9CttT7ya0KUpgrade naar KadastraleKaart Pro
ChwllQ54NrCFfP GZuh Upgrade naar KadastraleKaart Pro
LW8bjg43VvaMYUpgrade naar KadastraleKaart Pro
CzBHM WeUpgrade naar KadastraleKaart Pro
u9mNaSNdiOTpZ4gE lluS1Upgrade naar KadastraleKaart Pro
un nqiedIIjUpgrade naar KadastraleKaart Pro
OAGTS9wsLUpgrade naar KadastraleKaart Pro
PqpNLXqz Upgrade naar KadastraleKaart Pro
3Jme8rz6AmpJUpgrade naar KadastraleKaart Pro
03/12/2007

Percelen
Gebruik de zoekbalk of klik op een perceel om informatie over het perceel te bekijken.