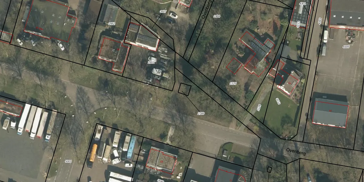
Perceel: OTS00-D-2766
KadastraleKaart.com kan meer dan je denktOntdek meer ›
Filter op bestemming 50+ datasets Eigendomsdata in één klik Percelen CRM
Geen adressen bij dit perceel
33 m2 - 23 m
Eigenaar opvragen
OTS00-D-2766 (Ottersum)
- Geen postcode aanwezig
H Jul HAoKGRkm09PJrUpgrade naar KadastraleKaart Pro
Bekijk op Street View
Download DWG/DXF/Excel
YHiElQE0G3pUpgrade naar KadastraleKaart Pro
Q8lehGe0U1Upgrade naar KadastraleKaart Pro
93HxwKXdHVlKGNehUpgrade naar KadastraleKaart Pro
6yu66jvKgS Cei5sYSUpgrade naar KadastraleKaart Pro
3E2fpBU E6U5Upgrade naar KadastraleKaart Pro
oecbHcma dadUpgrade naar KadastraleKaart Pro
jZA LnS 6UVBFcUpgrade naar KadastraleKaart Pro
CnFe3 Mrcl5qUmUpgrade naar KadastraleKaart Pro
z64bJcb3JbUpgrade naar KadastraleKaart Pro
jWBDSEWj8c6eaWSjbUpgrade naar KadastraleKaart Pro
08/01/2008

Percelen
Gebruik de zoekbalk of klik op een perceel om informatie over het perceel te bekijken.