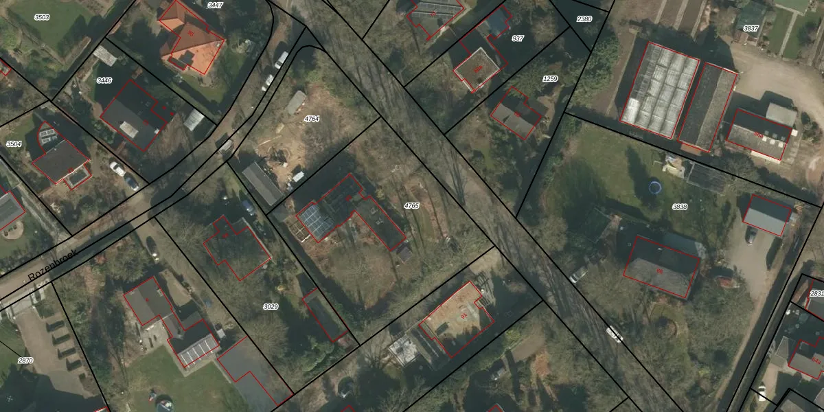
Perceel: OTS00-D-4765
KadastraleKaart.com kan meer dan je denktOntdek meer ›
Filter op bestemming 50+ datasets Eigendomsdata in één klik Percelen CRM
1.587 m2 - 159 m
Eigenaar opvragen
OTS00-D-4765 (Ottersum)
- 6596 BM
zFnqEPrNI4k0q5D QUpgrade naar KadastraleKaart Pro
Verkoopprijs opvragen
Bekijk op Street View
Download DWG/DXF/Excel
BF ZNsg9jVB 1pAKFrQjnKCUpgrade naar KadastraleKaart Pro
iSF A8jjxmUpgrade naar KadastraleKaart Pro
AGCPTK tUpgrade naar KadastraleKaart Pro
SGiDow8S THQuptwJfVJ1iUpgrade naar KadastraleKaart Pro
1GjJ POMCBR8ApR6D3Z l6Upgrade naar KadastraleKaart Pro
p vR1 G74zp5XKIKcUpgrade naar KadastraleKaart Pro
b IhS vNUpgrade naar KadastraleKaart Pro
codeaFCsGNTDuZ 8qiG Upgrade naar KadastraleKaart Pro
K KpvsCN3i Wyxz HUpgrade naar KadastraleKaart Pro
fyHg3TgZR AwW ZU9Upgrade naar KadastraleKaart Pro
14/04/2022

Percelen
Gebruik de zoekbalk of klik op een perceel om informatie over het perceel te bekijken.