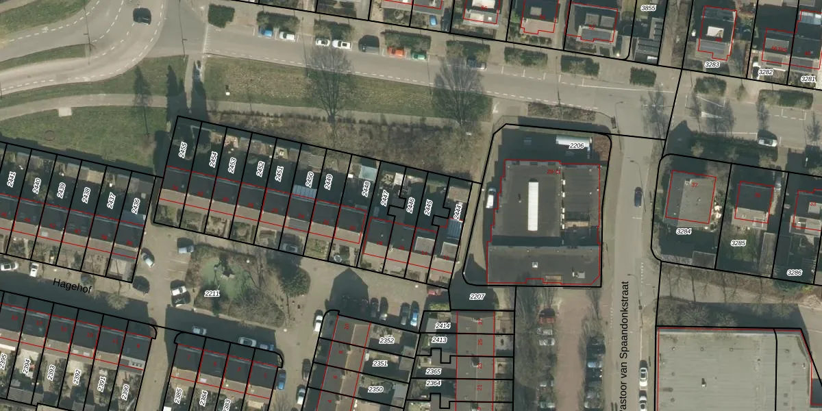
Perceel: PCH00-F-2446

Adres bij perceel

Perceeloppervlakte & perceelomtrek

147 m2 - 71 m

Eigenaar van het perceel

Eigenaar opvragen

Kadastrale aanduiding

PCH00-F-2446 (Princenhage)

Postcode in perceel

    4813 CE

Type eigenaar

DhQEBx5B3S8iELK7f2tvFDHFyhFUpgrade naar KadastraleKaart Pro

Google Street View

Bekijk op Street View

Download

Download DWG/DXF/Excel

Gerelateerde percelen

NW BWDt2jriDCr3cUpgrade naar KadastraleKaart Pro

Bebouwd/onbebouwd/water/groen

qmC8 iPP9kYekpi5hUpgrade naar KadastraleKaart Pro
Administratieve eenheden
XCCIUQv2BP Zn QbCF5Upgrade naar KadastraleKaart Pro

Appartementsrechten

bSixzE0Rkp8immB7CfF2zUpgrade naar KadastraleKaart Pro

Vergunningverlenende instanties

iPJTdKZh3Fha7SpdaUOWCSUpgrade naar KadastraleKaart Pro

Bedekking (BGT)

Ma2Gm2SzRO RU laUpgrade naar KadastraleKaart Pro

Publiekrechtelijke beperkingen

j Capw5IUOxDbrR4kPdUpgrade naar KadastraleKaart Pro

Grensnauwkeurigheid

qYnBtbaS 2W5BSky4x2 Upgrade naar KadastraleKaart Pro

Coördinaten hoekpunten perceel

pJyrWUB4Upgrade naar KadastraleKaart Pro

Hoogteligging

MlCgER 5Upgrade naar KadastraleKaart Pro

Laatst gewijzigd

24/06/2010

Kadastrale kaart met maatvoering 59,95
Kadastrale kaart pakket 28,95

Percelen

Gebruik de zoekbalk of klik op een perceel om informatie over het perceel te bekijken.
Locatie
Meten
Lagen
Download