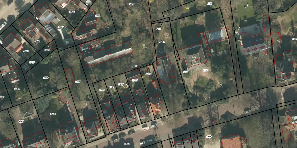
Perceel: PCH00-H-2760
KadastraleKaart.com kan meer dan je denktOntdek meer ›
Filter op bestemming 50+ datasets Eigendomsdata in één klik Percelen CRM
342 m2 - 92 m
Eigenaar opvragen
PCH00-H-2760 (Princenhage)
- 4813 XE
8hKiSa9bUa282LCAuY01ghmENMpOeNUpgrade naar KadastraleKaart Pro
Verkoopprijs opvragen
Bekijk op Street View
Download DWG/DXF/Excel
Pl0acdHA FUpgrade naar KadastraleKaart Pro
t6c7i 3pz6ZTNZ31dwsdUpgrade naar KadastraleKaart Pro
53Q1FGPk9Y o1JpIdqBuNTlUpgrade naar KadastraleKaart Pro
t2g9COfnEX gY ecUpgrade naar KadastraleKaart Pro
pYhaRh5dHgp0 YuxR KCqjUpgrade naar KadastraleKaart Pro
F c3aRMS GUpgrade naar KadastraleKaart Pro
kz10ai9RlQt1hr51Upgrade naar KadastraleKaart Pro
akLvfm arUpgrade naar KadastraleKaart Pro
EBB88JAvV6QxUpgrade naar KadastraleKaart Pro
9L wGhlR7jau4wtd6e01IGEUpgrade naar KadastraleKaart Pro
27/09/2006

Percelen
Gebruik de zoekbalk of klik op een perceel om informatie over het perceel te bekijken.