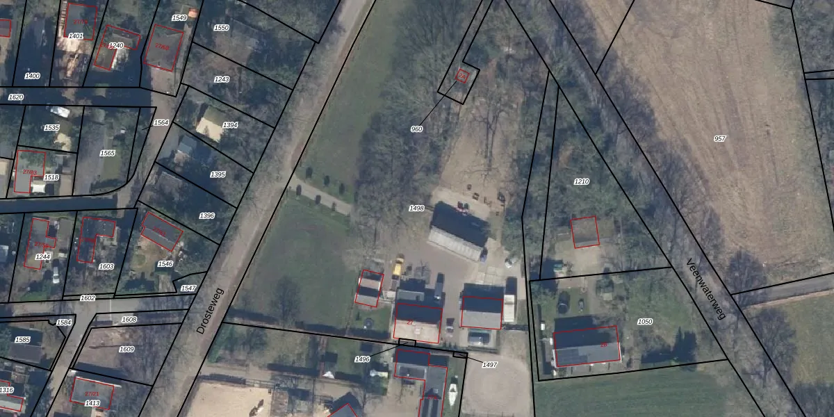
Perceel: PTN01-E-1498
KadastraleKaart.com kan meer dan je denktOntdek meer ›
Filter op bestemming 50+ datasets Eigendomsdata in één klik Percelen CRM
6.132 m2 - 507 m
Eigenaar opvragen
PTN01-E-1498 (Putten)
- 3881 PE
pq14i7yhksSEM50ogruCZC aUUpgrade naar KadastraleKaart Pro
Verkoopprijs opvragen
Bekijk op Street View
Download DWG/DXF/Excel
FGS7 B6Ps septwuK7h0kYUpgrade naar KadastraleKaart Pro
Ue 9c37 X4LN7SyFBy8sROhUpgrade naar KadastraleKaart Pro
0S INc4LLUpgrade naar KadastraleKaart Pro
vGkpXrVcZUpgrade naar KadastraleKaart Pro
UN0xlmzScM09 ZNbU1ipuUpgrade naar KadastraleKaart Pro
tor4S dwrSqUpgrade naar KadastraleKaart Pro
6eXBHMeLdRFyabJA1FmP5Upgrade naar KadastraleKaart Pro
lTCp5xjbEG6AYUpgrade naar KadastraleKaart Pro
Wv6jfavCy3Upgrade naar KadastraleKaart Pro
Du7COHsSuwyUpgrade naar KadastraleKaart Pro
30/08/2016

Percelen
Gebruik de zoekbalk of klik op een perceel om informatie over het perceel te bekijken.