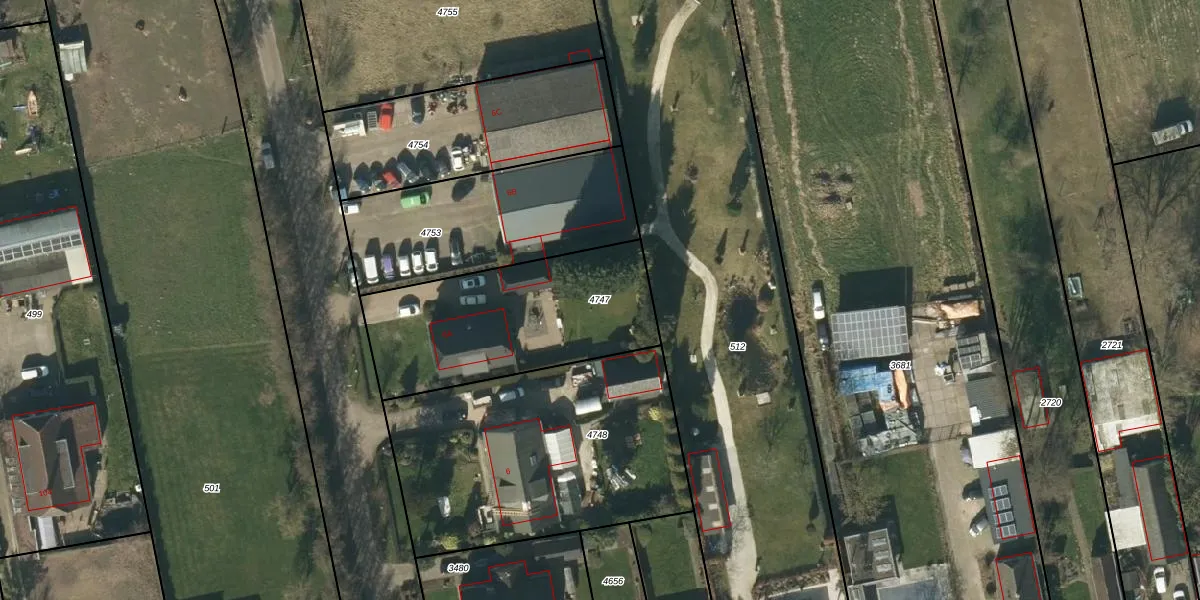
Perceel: VMN00-N-4747
KadastraleKaart.com kan meer dan je denktOntdek meer ›
Filter op bestemming 50+ datasets Eigendomsdata in één klik Percelen CRM
865 m2 - 131 m
Eigenaar opvragen
VMN00-N-4747 (Vlijmen)
- 5254 KA
ihhbeE a mJrsQRY Ow2Upgrade naar KadastraleKaart Pro
Verkoopprijs opvragen
Bekijk op Street View
Download DWG/DXF/Excel
hLx7nxfvQF9hUpgrade naar KadastraleKaart Pro
O6oK8 6pxcZ3XBPLMfKUpgrade naar KadastraleKaart Pro
6eq QmxLDd 7Upgrade naar KadastraleKaart Pro
2 LiNsafSYBIX Upgrade naar KadastraleKaart Pro
t5DPv9NXhzzUpgrade naar KadastraleKaart Pro
9CdWMsY xcZxbJgo8C 7AdUpgrade naar KadastraleKaart Pro
vkckmZazUpgrade naar KadastraleKaart Pro
iOny7GQ h75 HxUpgrade naar KadastraleKaart Pro
1GyXbkMopR 4xDgKGN z Upgrade naar KadastraleKaart Pro
FItVbfnZe3DcUpgrade naar KadastraleKaart Pro
16/01/2007

Percelen
Gebruik de zoekbalk of klik op een perceel om informatie over het perceel te bekijken.