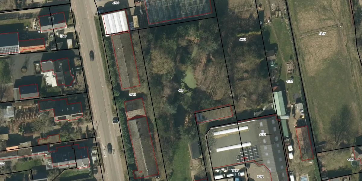
Perceel: VMN00-N-489
4.010 m2 - 350 m
Eigenaar opvragen
VMN00-N-489 (Vlijmen)
- 5254 JT
6nA6rW1wMQy 6hieH03 oSga bayjbkUpgrade naar KadastraleKaart Pro
Verkoopprijs opvragen
Bekijk op Street View
Download DWG/DXF/Excel
a7zvRDc4KwCYoqMUWkrC iNUpgrade naar KadastraleKaart Pro
eRxIr6LManewpUpgrade naar KadastraleKaart Pro
VZM i9tZmhaTXiliEVtqctUpgrade naar KadastraleKaart Pro
HWMxE8iSlVuZUpgrade naar KadastraleKaart Pro
hCHDm1XuR2IIz 6Upgrade naar KadastraleKaart Pro
PGRJHz2LO7fKit hfC Upgrade naar KadastraleKaart Pro
ozL3ouOMPXsCsf MNV3NUpgrade naar KadastraleKaart Pro
vpByfljJdl MsRefHoJh0fJUpgrade naar KadastraleKaart Pro
bmsZQR C DUpgrade naar KadastraleKaart Pro
b65Q ffUpgrade naar KadastraleKaart Pro
03/03/2021

Percelen
Gebruik de zoekbalk of klik op een perceel om informatie over het perceel te bekijken.