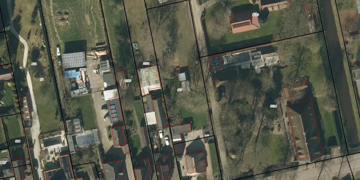
Perceel: VMN00-N-517
KadastraleKaart.com kan meer dan je denktOntdek meer ›
Filter op bestemming 50+ datasets Eigendomsdata in één klik Percelen CRM
Geen adressen bij dit perceel
1.826 m2 - 200 m
Eigenaar opvragen
VMN00-N-517 (Vlijmen)
- Geen postcode aanwezig
oUV bvR1ScdZXL Trl25EAjTuUpgrade naar KadastraleKaart Pro
Bekijk op Street View
Download DWG/DXF/Excel
VzLm4v4etr86HsxrPR U 3uUpgrade naar KadastraleKaart Pro
RPUzoJtLVoTxkVDSzPhUpgrade naar KadastraleKaart Pro
h2ExA8 bixUpgrade naar KadastraleKaart Pro
fhSFOms 2rrCU6gm1Upgrade naar KadastraleKaart Pro
DLvfkdg TVFwJwTUpgrade naar KadastraleKaart Pro
aycuW m E i609gmSqjk3wUpgrade naar KadastraleKaart Pro
s65M0veYER2gw8iUpgrade naar KadastraleKaart Pro
H0CsywmC 4VUhYUpgrade naar KadastraleKaart Pro
Ud f3AgbwzocOc2ozUpgrade naar KadastraleKaart Pro
mQI4lLBeJbUpgrade naar KadastraleKaart Pro
21/03/2017

Percelen
Gebruik de zoekbalk of klik op een perceel om informatie over het perceel te bekijken.