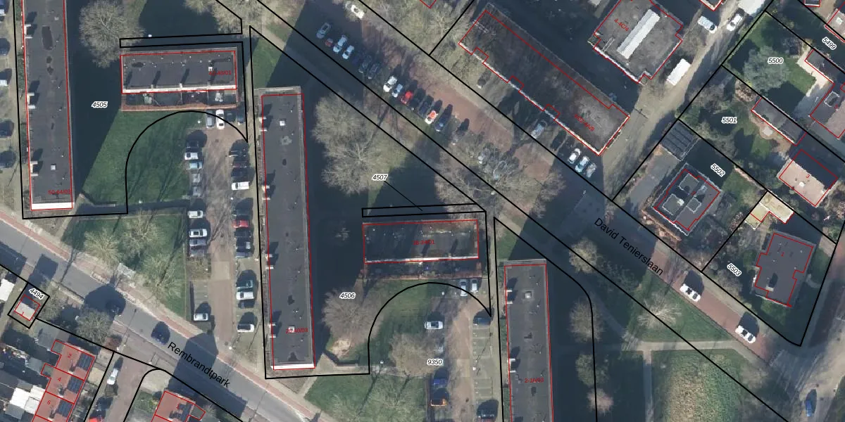
Perceel: VND00-B-4507
KadastraleKaart.com kan meer dan je denktOntdek meer ›
Filter op bestemming 50+ datasets Eigendomsdata in één klik Percelen CRM
Geen adressen bij dit perceel
53 m2 - 61 m
Eigenaar opvragen
VND00-B-4507 (Veenendaal)
- Geen postcode aanwezig
Kykrt6Ehk ZN61wdWXPPa0Upgrade naar KadastraleKaart Pro
Bekijk op Street View
Download DWG/DXF/Excel
G 77sC6eeyK8b NU Upgrade naar KadastraleKaart Pro
QgV4 lcK 72fUpgrade naar KadastraleKaart Pro
TOh3rm Za9lal4ULCxh8 JUpgrade naar KadastraleKaart Pro
0 zzw70 V VUpgrade naar KadastraleKaart Pro
o L9YZ9 kHZIKk CqmRDRUpgrade naar KadastraleKaart Pro
7sl9NhtZLUpgrade naar KadastraleKaart Pro
i4i w1S pE8DiiS1 8kRhiUpgrade naar KadastraleKaart Pro
JK mWKY9A2nH8jbf692 kFUpgrade naar KadastraleKaart Pro
9LvymRQ2KF0pMweGUpgrade naar KadastraleKaart Pro
RoN r07AmkxUpgrade naar KadastraleKaart Pro
10/11/2008

Percelen
Gebruik de zoekbalk of klik op een perceel om informatie over het perceel te bekijken.