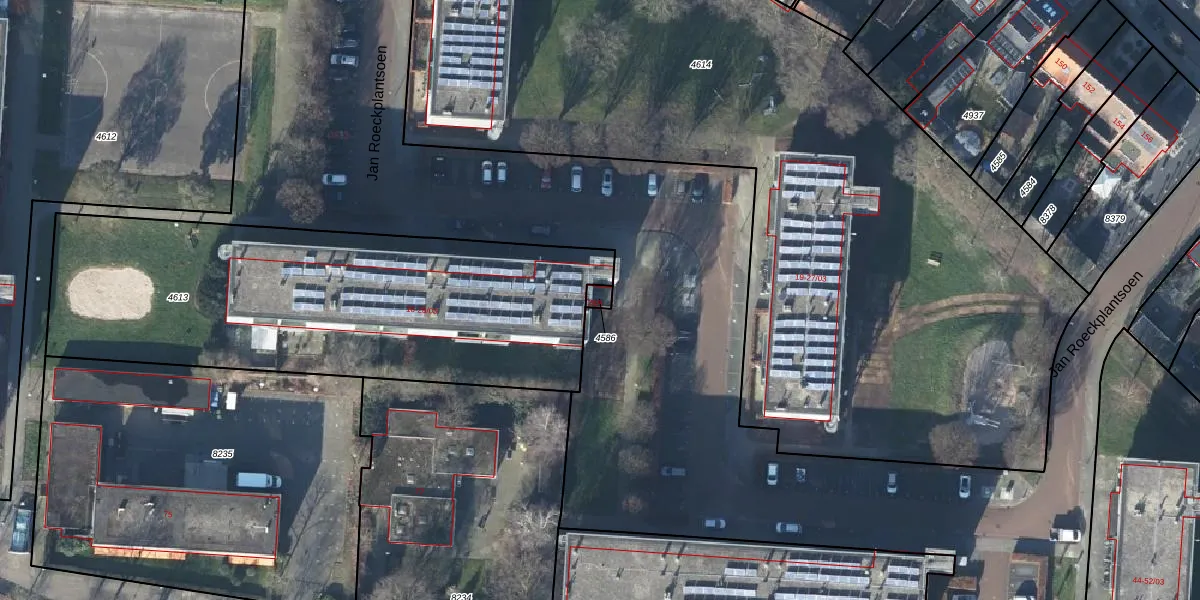
Perceel: VND00-D-4586
KadastraleKaart.com kan meer dan je denktOntdek meer ›
Filter op bestemming 50+ datasets Eigendomsdata in één klik Percelen CRM
16 m2 - 16 m
Eigenaar opvragen
VND00-D-4586 (Veenendaal)
- 3902 ZN
rFj77dt8pFhbtSoVc UG7nyrmX9Y5VvUpgrade naar KadastraleKaart Pro
Bekijk op Street View
Download DWG/DXF/Excel
9ShEPRedp 4r43 JAUpgrade naar KadastraleKaart Pro
K qyK ammj7QUpgrade naar KadastraleKaart Pro
S9gfX txQFBUpgrade naar KadastraleKaart Pro
RY6Iy3FdFOkolcbnUpgrade naar KadastraleKaart Pro
jWsK6HaxjcUpgrade naar KadastraleKaart Pro
7086AFqTV56A QVUpgrade naar KadastraleKaart Pro
p0eOiVK i9 MOy5WUpgrade naar KadastraleKaart Pro
31 u nS8VGZ0JUpgrade naar KadastraleKaart Pro
NTukebB8nyKUULndzTUw3aUpgrade naar KadastraleKaart Pro
TAUpw2bE s CzSng8Upgrade naar KadastraleKaart Pro
19/12/2003

Percelen
Gebruik de zoekbalk of klik op een perceel om informatie over het perceel te bekijken.