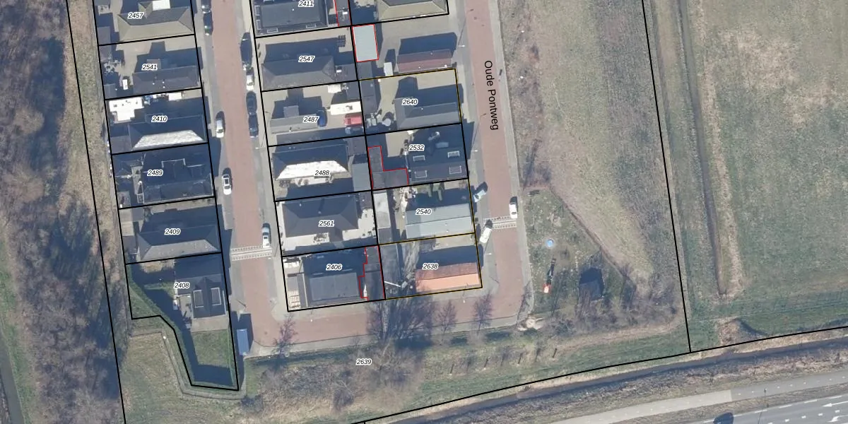
Perceel: VSN01-C-2540
KadastraleKaart.com kan meer dan je denktOntdek meer ›
Filter op bestemming 50+ datasets Eigendomsdata in één klik Percelen CRM
296 m2 - 72 m
Eigenaar opvragen
VSN01-C-2540 (Velsen)
- 1981 AT
3I iJsr0J4XhS 3B 6BHUpgrade naar KadastraleKaart Pro
Bekijk op Street View
Download DWG/DXF/Excel
NNPEUX gM HAf4cXUpgrade naar KadastraleKaart Pro
b J nKlwcvJRSk Ldz Upgrade naar KadastraleKaart Pro
zWafb fDeVUpgrade naar KadastraleKaart Pro
79GzVB BoH nTaWKUUpgrade naar KadastraleKaart Pro
zu636m Y7 Juq8 x 9v4Upgrade naar KadastraleKaart Pro
D Tm DoErPm8UHsnoJZdRUpgrade naar KadastraleKaart Pro
IJXSa9 VUpgrade naar KadastraleKaart Pro
pWs1poKwPNJ6Upgrade naar KadastraleKaart Pro
HSCOL9PutY sUpgrade naar KadastraleKaart Pro
TaWna SUUpgrade naar KadastraleKaart Pro
20/09/2024

Percelen
Gebruik de zoekbalk of klik op een perceel om informatie over het perceel te bekijken.