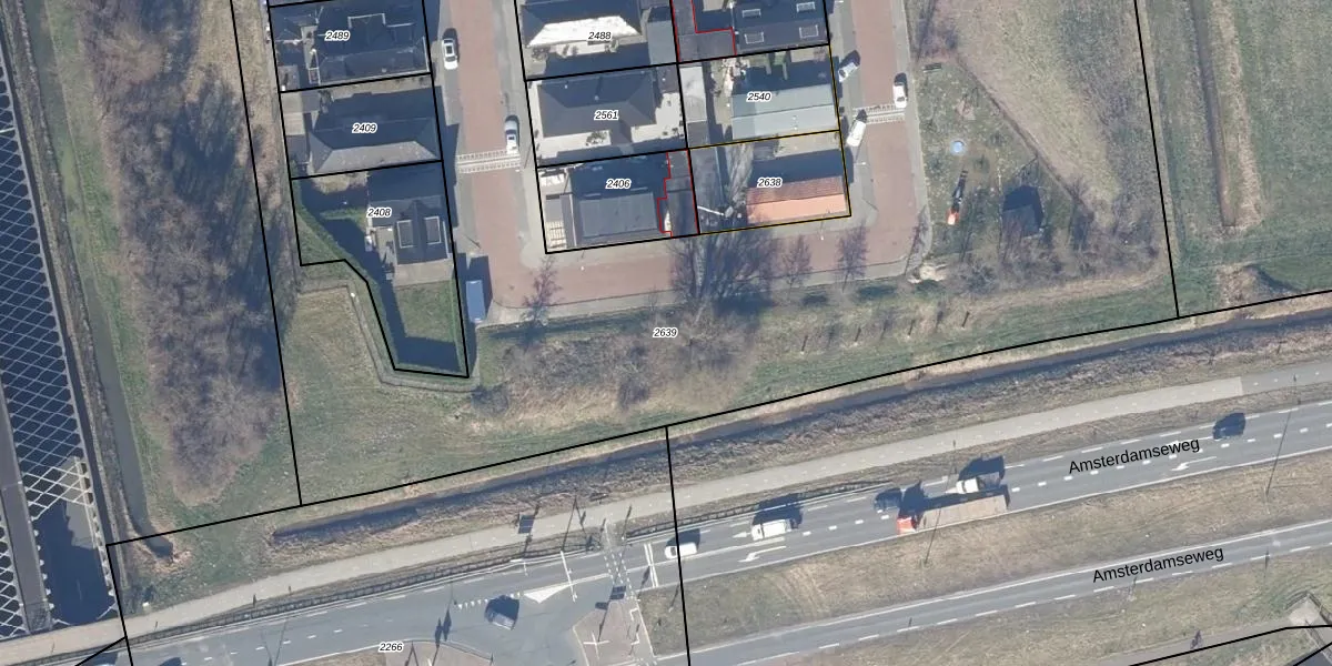
Perceel: VSN01-C-2639
KadastraleKaart.com kan meer dan je denktOntdek meer ›
Filter op bestemming 50+ datasets Eigendomsdata in één klik Percelen CRM
18.232 m2 - 2.224 m
Eigenaar opvragen
VSN01-C-2639 (Velsen)
- 1981 AT -1981 AV
uBKFaJU8FxI3G gJV 1U8R2JhIuFcUpgrade naar KadastraleKaart Pro
Bekijk op Street View
Download DWG/DXF/Excel
eCblZOh3hlQPBTUpgrade naar KadastraleKaart Pro
RNaa nYquO8Upgrade naar KadastraleKaart Pro
v zQ qlqi XVewxYYkrpMYUpgrade naar KadastraleKaart Pro
3b3mYqt9YCpUpgrade naar KadastraleKaart Pro
6zh GndHsjlTUpgrade naar KadastraleKaart Pro
OU0t0whNovF 85 uXFlRlqsUpgrade naar KadastraleKaart Pro
2yF1Zi4g3vOUpgrade naar KadastraleKaart Pro
C0i2ANmhrYctgZekTUpgrade naar KadastraleKaart Pro
BlujTecrUpgrade naar KadastraleKaart Pro
Z8fxzazPonf P6a7e HUpgrade naar KadastraleKaart Pro
01/10/2024

Percelen
Gebruik de zoekbalk of klik op een perceel om informatie over het perceel te bekijken.