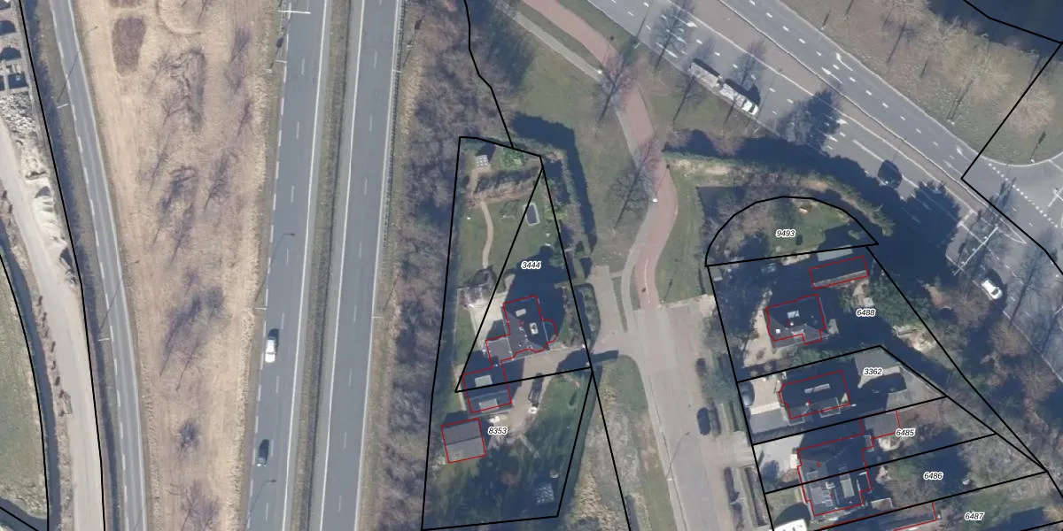
Perceel: VSN01-F-3444
KadastraleKaart.com kan meer dan je denktOntdek meer ›
Filter op bestemming 50+ datasets Eigendomsdata in één klik Percelen CRM
495 m2 - 110 m
Eigenaar opvragen
VSN01-F-3444 (Velsen)
- 2071 EZ
7P5N vEvKYUgA 7OPXpUeBUpgrade naar KadastraleKaart Pro
Verkoopprijs opvragen
Bekijk op Street View
Download DWG/DXF/Excel
sHqPX7ACxUpgrade naar KadastraleKaart Pro
6665 offWk FpcL0 qUpgrade naar KadastraleKaart Pro
7 Tap P878 xnNE6Upgrade naar KadastraleKaart Pro
s AzW6 ejcncUpgrade naar KadastraleKaart Pro
2HkQM5Pwk yJpbt 5OUpgrade naar KadastraleKaart Pro
maTDWLWxzXAGT3 bLZssLnUpgrade naar KadastraleKaart Pro
8c7PmNEj6wqpmnfmBZvUpgrade naar KadastraleKaart Pro
PRGnI ZzH iUpgrade naar KadastraleKaart Pro
w WQ FLgyrpRZJNfUpgrade naar KadastraleKaart Pro
zOMJs0CcLjOv5bXhnkaOF0Upgrade naar KadastraleKaart Pro
28/06/2000

Percelen
Gebruik de zoekbalk of klik op een perceel om informatie over het perceel te bekijken.