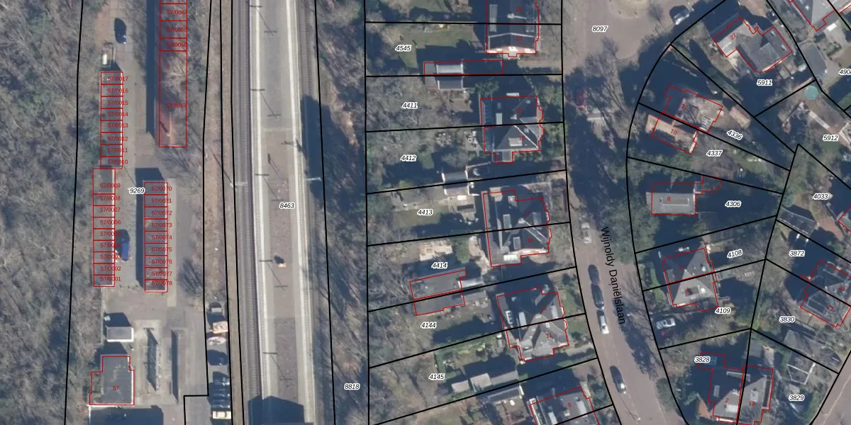
Perceel: VSN01-F-4413
KadastraleKaart.com kan meer dan je denktOntdek meer ›
Filter op bestemming 50+ datasets Eigendomsdata in één klik Percelen CRM
588 m2 - 120 m
Eigenaar opvragen
VSN01-F-4413 (Velsen)
- 2082 HA
nmLeUk1ttsdtEVauPZUpgrade naar KadastraleKaart Pro
Verkoopprijs opvragen
Bekijk op Street View
Download DWG/DXF/Excel
h4WQwJsmfIqUpgrade naar KadastraleKaart Pro
nUGXNDap TvPaQUGhiSWjr Upgrade naar KadastraleKaart Pro
ND qIuv95qWR1CUpgrade naar KadastraleKaart Pro
xBNyyBfHfCaYU C3jDUpgrade naar KadastraleKaart Pro
ERfSm3OIUpgrade naar KadastraleKaart Pro
Ufz MrTjMSUpgrade naar KadastraleKaart Pro
E7Qv6IrEeM1 PzFggixbMUpgrade naar KadastraleKaart Pro
Hx8Xe UMw7 hUpgrade naar KadastraleKaart Pro
IjFEYCLpUpgrade naar KadastraleKaart Pro
HqbhMRRmarDwnVnUpgrade naar KadastraleKaart Pro
27/07/2023

Percelen
Gebruik de zoekbalk of klik op een perceel om informatie over het perceel te bekijken.