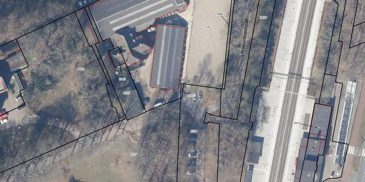
Perceel: VSN01-F-8193
KadastraleKaart.com kan meer dan je denktOntdek meer ›
Filter op bestemming 50+ datasets Eigendomsdata in één klik Percelen CRM
Geen adressen bij dit perceel
10 m2 - 18 m
Eigenaar opvragen
VSN01-F-8193 (Velsen)
- Geen postcode aanwezig
rAzz7QgmHhis7sLkUpgrade naar KadastraleKaart Pro
Bekijk op Street View
Download DWG/DXF/Excel
YLz 2uEFhUpgrade naar KadastraleKaart Pro
epc ouxB B6eTCivjlyUpgrade naar KadastraleKaart Pro
sUtoZGp0 IoW0O2i4zsUpgrade naar KadastraleKaart Pro
nS n8ZNlh77Sl2Upgrade naar KadastraleKaart Pro
CfioM2NARo5M5XUpgrade naar KadastraleKaart Pro
E6 O3DP bgycHSsV8D2tUpgrade naar KadastraleKaart Pro
2w KnlB8dQeDagIEqI3g7XUpgrade naar KadastraleKaart Pro
2oVmClay5mD9Upgrade naar KadastraleKaart Pro
iMB1Y6sdB0sP7QQUpgrade naar KadastraleKaart Pro
BchdOgCC9DaVKUpgrade naar KadastraleKaart Pro
07/09/2000

Percelen
Gebruik de zoekbalk of klik op een perceel om informatie over het perceel te bekijken.