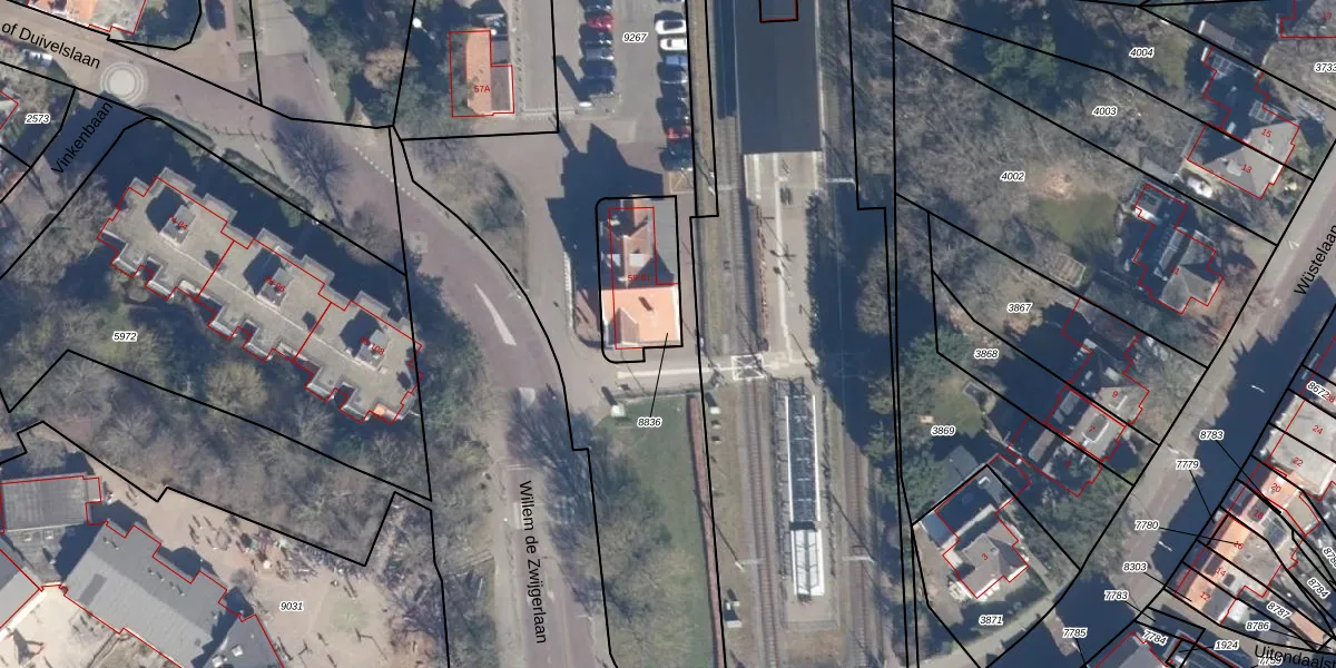
Perceel: VSN01-F-8836
KadastraleKaart.com kan meer dan je denktOntdek meer ›
Filter op bestemming 50+ datasets Eigendomsdata in één klik Percelen CRM
292 m2 - 72 m
Eigenaar opvragen
VSN01-F-8836 (Velsen)
- 2082 BB
CGPO163BzHf2 ywrVdVd7Upgrade naar KadastraleKaart Pro
Verkoopprijs opvragen
Bekijk op Street View
Download DWG/DXF/Excel
PB WCQoT7KVUpgrade naar KadastraleKaart Pro
m yshvjIoDctwSi310OJIzUpgrade naar KadastraleKaart Pro
nwSZW IPlP5WCjDoPXhFCUpgrade naar KadastraleKaart Pro
NTSkR F6jgqbF3N XgDINUpgrade naar KadastraleKaart Pro
Cp I OyLN 0eJV Upgrade naar KadastraleKaart Pro
OUQFk4wWFz6lX4CuEZqUpgrade naar KadastraleKaart Pro
q zEuk HOuskT6uWrGDmXUpgrade naar KadastraleKaart Pro
oA0qyaDUEzJdWj8bAuHxUpgrade naar KadastraleKaart Pro
SpMQRiQbN31ZSehDk5ygUpgrade naar KadastraleKaart Pro
U3dwPp qUpgrade naar KadastraleKaart Pro
20/12/2007

Percelen
Gebruik de zoekbalk of klik op een perceel om informatie over het perceel te bekijken.