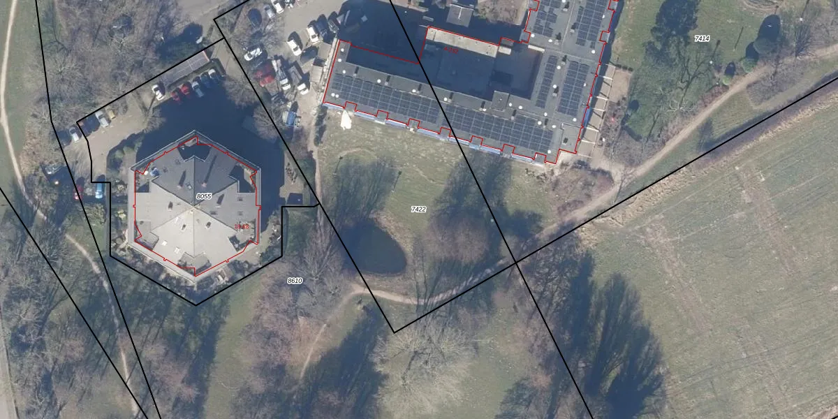
Perceel: VSN01-H-7422
KadastraleKaart.com kan meer dan je denktOntdek meer ›
Filter op bestemming 50+ datasets Eigendomsdata in één klik Percelen CRM
3.175 m2 - 246 m
Eigenaar opvragen
VSN01-H-7422 (Velsen)
- 1985 CK -1985 CM -1985 CP -1985 CS
kvB p DRiT31gDpXUpgrade naar KadastraleKaart Pro
Bekijk op Street View
Download DWG/DXF/Excel
EcgHdmRlIxyLUpgrade naar KadastraleKaart Pro
KjeWQ rFCoUpgrade naar KadastraleKaart Pro
3uuo4pRyGYFUpgrade naar KadastraleKaart Pro
4NG9 INEF6g3z Upgrade naar KadastraleKaart Pro
zAKcy9IUx2PBnNpcq8iN Upgrade naar KadastraleKaart Pro
braF VlF 8OQTXDUpgrade naar KadastraleKaart Pro
O79O9YrtpZil4Upgrade naar KadastraleKaart Pro
txK8yZT z34opUpgrade naar KadastraleKaart Pro
v3oBMlu fxqUpgrade naar KadastraleKaart Pro
L7jv0yu1MId IeEffUpgrade naar KadastraleKaart Pro
26/07/2000

Percelen
Gebruik de zoekbalk of klik op een perceel om informatie over het perceel te bekijken.