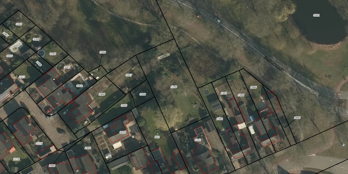
Perceel: WCN00-I-1240
KadastraleKaart.com kan meer dan je denktOntdek meer ›
Filter op bestemming 50+ datasets Eigendomsdata in één klik Percelen CRM
Geen adressen bij dit perceel
1.180 m2 - 147 m
Eigenaar opvragen
WCN00-I-1240 (Wijchen)
- Geen postcode aanwezig
6y8X8Q6eM5bOsNQgwOUpgrade naar KadastraleKaart Pro
Bekijk op Street View
Download DWG/DXF/Excel
veFWDCMDr8HsrBGUpgrade naar KadastraleKaart Pro
CcJ gks0 FX2ZF0AQorUpgrade naar KadastraleKaart Pro
yvp kV4tbxqSPUpgrade naar KadastraleKaart Pro
rRaVnPcBiM1ts biiaFoIOBUpgrade naar KadastraleKaart Pro
xxzxy5fgCbl ggRUpgrade naar KadastraleKaart Pro
04LylbXQ 6L1 yHQ42nUpgrade naar KadastraleKaart Pro
7 0P202 TcWUUpgrade naar KadastraleKaart Pro
o97HirHxk KD9uZQUeU86JUpgrade naar KadastraleKaart Pro
FSURs uBGZUpgrade naar KadastraleKaart Pro
7c9BJ7 HoO 0OfnA WCS9HUpgrade naar KadastraleKaart Pro
31/03/2006

Percelen
Gebruik de zoekbalk of klik op een perceel om informatie over het perceel te bekijken.