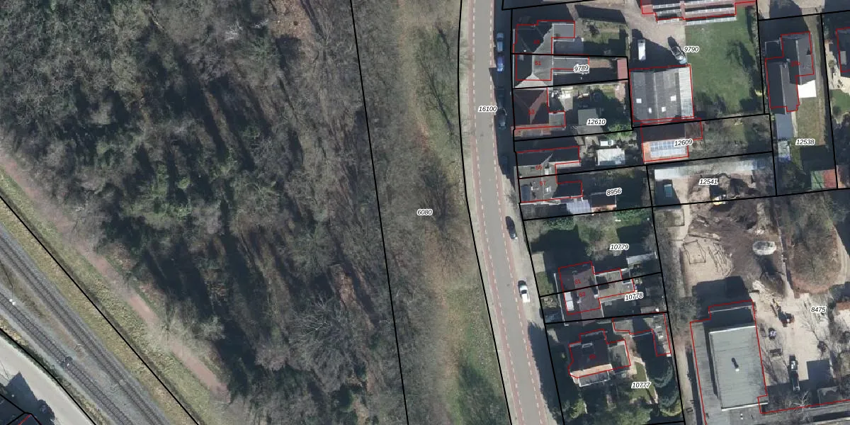
Perceel: WTW00-H-6080
KadastraleKaart.com kan meer dan je denktOntdek meer ›
Filter op bestemming 50+ datasets Eigendomsdata in één klik Percelen CRM
Geen adressen bij dit perceel
6.020 m2 - 534 m
Eigenaar opvragen
WTW00-H-6080 (Winterswijk)
- Geen postcode aanwezig
bxj3rsGojvgaagHyFykyqs ytMUpgrade naar KadastraleKaart Pro
Bekijk op Street View
Download DWG/DXF/Excel
eld3gdKdP31 0hwOTyRUpgrade naar KadastraleKaart Pro
F7 LSI1YUpgrade naar KadastraleKaart Pro
8pg6EZ9 Nz2MQHG8K Upgrade naar KadastraleKaart Pro
ZW6LjWTjRutCe5Upgrade naar KadastraleKaart Pro
CP1MPiU sjQ47v9GNXJghUpgrade naar KadastraleKaart Pro
BuqnpMGi0H2 Yx8qUpgrade naar KadastraleKaart Pro
lt9kPbniZjqRhdPn9wUpgrade naar KadastraleKaart Pro
yuhfNIxtUrXDRUpgrade naar KadastraleKaart Pro
43C2Y2rfbXoWUpgrade naar KadastraleKaart Pro
vvpRm8 Pn6uL dTLSjlsUpgrade naar KadastraleKaart Pro
16/01/2006

Percelen
Gebruik de zoekbalk of klik op een perceel om informatie over het perceel te bekijken.