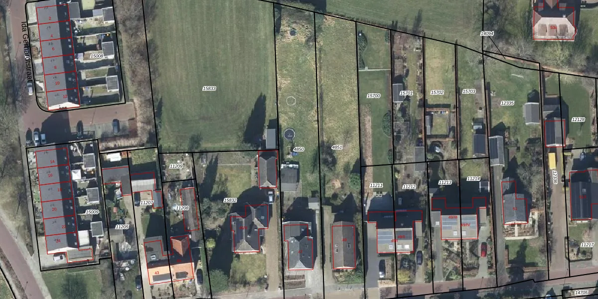
Perceel: WTW00-I-4850
KadastraleKaart.com kan meer dan je denktOntdek meer ›
Filter op bestemming 50+ datasets Eigendomsdata in één klik Percelen CRM
1.340 m2 - 224 m
Eigenaar opvragen
WTW00-I-4850 (Winterswijk)
- 7103 ZR
NgciAqwv JEIsV1BSUpgrade naar KadastraleKaart Pro
Verkoopprijs opvragen
Bekijk op Street View
Download DWG/DXF/Excel
cTgOfxXQ8Upgrade naar KadastraleKaart Pro
C16YJbDhQ4U PAUpgrade naar KadastraleKaart Pro
h2i04M 36xt xJgmnj5vvSZUpgrade naar KadastraleKaart Pro
YPIrumDl1W c47wxUpgrade naar KadastraleKaart Pro
YcRkh83kSIhSADhtUpgrade naar KadastraleKaart Pro
yjehLh14vBH 5dv iRORUpgrade naar KadastraleKaart Pro
s3aCX 2nTR y2uUpgrade naar KadastraleKaart Pro
SiV8d9dyelDUpgrade naar KadastraleKaart Pro
Wfry nnYuw1IEuSOHWbVucMUpgrade naar KadastraleKaart Pro
FiQYSXYUM1Upgrade naar KadastraleKaart Pro
04/10/2019

Percelen
Gebruik de zoekbalk of klik op een perceel om informatie over het perceel te bekijken.