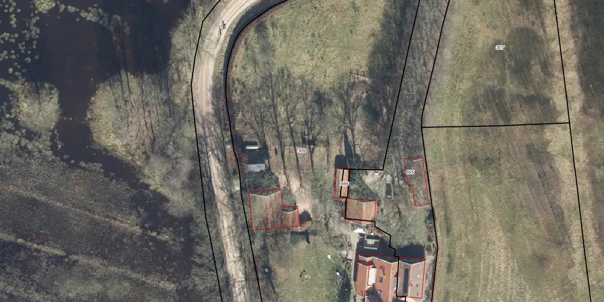
Perceel: WTW00-T-309
KadastraleKaart.com kan meer dan je denktOntdek meer ›
Filter op bestemming 50+ datasets Eigendomsdata in één klik Percelen CRM
6.005 m2 - 388 m
Eigenaar opvragen
WTW00-T-309 (Winterswijk)
- 7102 GE
MNFAvJYZ761 4olVQKVXcv9Upgrade naar KadastraleKaart Pro
Verkoopprijs opvragen
Bekijk op Street View
Download DWG/DXF/Excel
UTka42gCiv31mQyIUptUpgrade naar KadastraleKaart Pro
fj9xN7 WNOlUpgrade naar KadastraleKaart Pro
8eKWQYVxZUpgrade naar KadastraleKaart Pro
0oypfbnhvFvV7XVUpgrade naar KadastraleKaart Pro
ygHvwXqjmwLgGr2upUpgrade naar KadastraleKaart Pro
xusgvSya3mVnMsQ7t2KUpgrade naar KadastraleKaart Pro
bJ2Dnd C2YiQUpgrade naar KadastraleKaart Pro
6BfC TU8l8iJ7ZWNMqcEUpgrade naar KadastraleKaart Pro
CAnz09Vj 8h96VhZ7Upgrade naar KadastraleKaart Pro
rrOhOIC88l VByUpgrade naar KadastraleKaart Pro
16/12/2019

Percelen
Gebruik de zoekbalk of klik op een perceel om informatie over het perceel te bekijken.