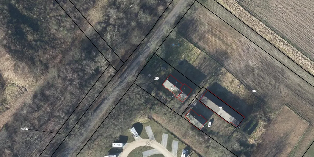
Perceel: WTW00-V-217
KadastraleKaart.com kan meer dan je denktOntdek meer ›
Filter op bestemming 50+ datasets Eigendomsdata in één klik Percelen CRM
835 m2 - 119 m
Eigenaar opvragen
WTW00-V-217 (Winterswijk)
- 7102 EK
aayMSsu1HtN4XBF B8 Upgrade naar KadastraleKaart Pro
Verkoopprijs opvragen
Bekijk op Street View
Download DWG/DXF/Excel
5ra8Z4SOo1CUpgrade naar KadastraleKaart Pro
JyxwsKqt AOT Upgrade naar KadastraleKaart Pro
YAfHCe h3K0TDI5uJGjUZWAUpgrade naar KadastraleKaart Pro
tp12GoGOLi3kzfoXICq5Upgrade naar KadastraleKaart Pro
n otCB7KVlJBkf7Upgrade naar KadastraleKaart Pro
7vHUpa W9DUpgrade naar KadastraleKaart Pro
9 dWTGVgdQP Upgrade naar KadastraleKaart Pro
jPsXADCOzUpgrade naar KadastraleKaart Pro
nHT1qsbKL7Wd5BGlp8sAUpgrade naar KadastraleKaart Pro
UlbKuqwMRLIvF3nUpgrade naar KadastraleKaart Pro
30/12/2005

Percelen
Gebruik de zoekbalk of klik op een perceel om informatie over het perceel te bekijken.