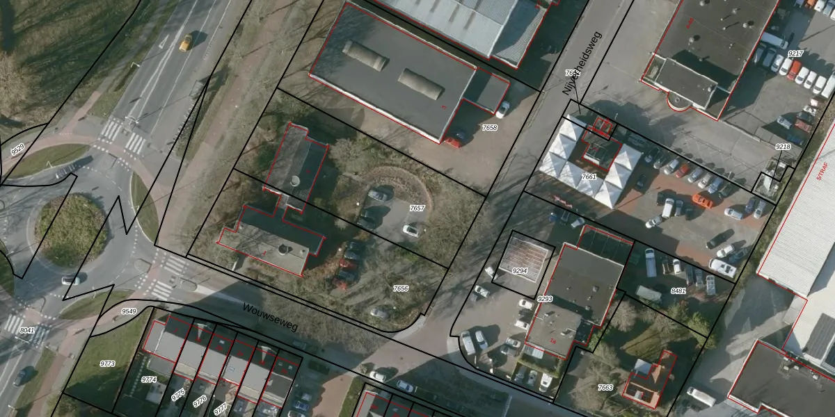
Perceel: HSR00-C-7657
KadastraleKaart.com kan meer dan je denktOntdek meer ›
Filter op bestemming 50+ datasets Eigendomsdata in één klik Percelen CRM
1.175 m2 - 155 m
Eigenaar opvragen
HSR00-C-7657 (Halsteren)
- 4661 VA
JIiCsqbl XJ0WCwFtT5WUpgrade naar KadastraleKaart Pro
Bekijk op Street View
Download DWG/DXF/Excel
EvxYwTgNCe Upgrade naar KadastraleKaart Pro
dM6Ib0O gUpgrade naar KadastraleKaart Pro
R45dIThmIgnWSKtgngUpgrade naar KadastraleKaart Pro
P3gf lnn4AOUpgrade naar KadastraleKaart Pro
qO6AX 4aJSeUpgrade naar KadastraleKaart Pro
JUw 9bAXJxm6VIuYjpeg1fUpgrade naar KadastraleKaart Pro
UpwzvgGSUpgrade naar KadastraleKaart Pro
ByBp k8djpej3jvT40pecUpgrade naar KadastraleKaart Pro
YzpGCrEQg0p0QQYFsUpgrade naar KadastraleKaart Pro
t5OW3Egx 1NWyK 19Eg QUpgrade naar KadastraleKaart Pro
28/07/2009

Percelen
Gebruik de zoekbalk of klik op een perceel om informatie over het perceel te bekijken.