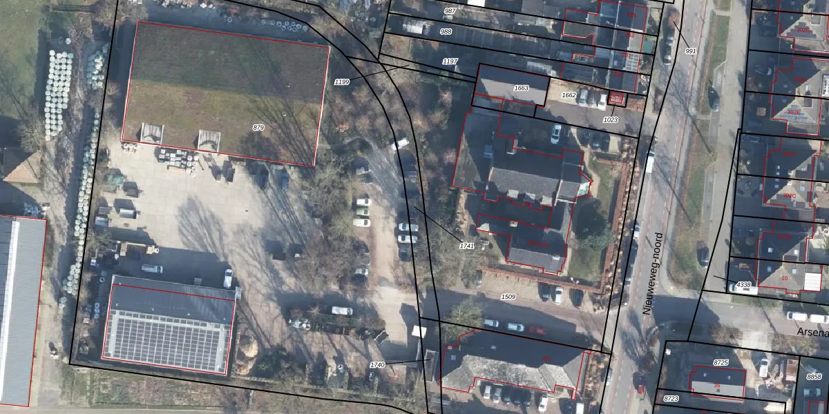
Perceel: VND00-G-1741
KadastraleKaart.com kan meer dan je denktOntdek meer ›
Filter op bestemming 50+ datasets Eigendomsdata in één klik Percelen CRM
Geen adressen bij dit perceel
296 m2 - 145 m
Eigenaar opvragen
VND00-G-1741 (Veenendaal)
- Geen postcode aanwezig
eP7jNMwYphZgGbcd jUpgrade naar KadastraleKaart Pro
Bekijk op Street View
Download DWG/DXF/Excel
esmWrbPNYZUpgrade naar KadastraleKaart Pro
dUGIf4k5TtmOBpGi0Upgrade naar KadastraleKaart Pro
UGMucUpVCopvDk AwvEUpgrade naar KadastraleKaart Pro
EEv04Sm 7TrLUpgrade naar KadastraleKaart Pro
X5uCUo1n PUpgrade naar KadastraleKaart Pro
0YZc 4aFWXrZDUpgrade naar KadastraleKaart Pro
PhXu nuqVtUpgrade naar KadastraleKaart Pro
XLYkYhWQUpgrade naar KadastraleKaart Pro
q xpUyHeS1aVUpgrade naar KadastraleKaart Pro
UtpkO8 I0i gUUpgrade naar KadastraleKaart Pro
26/11/2002

Percelen
Gebruik de zoekbalk of klik op een perceel om informatie over het perceel te bekijken.